Radar Screenshots of 2020 (A Thread)

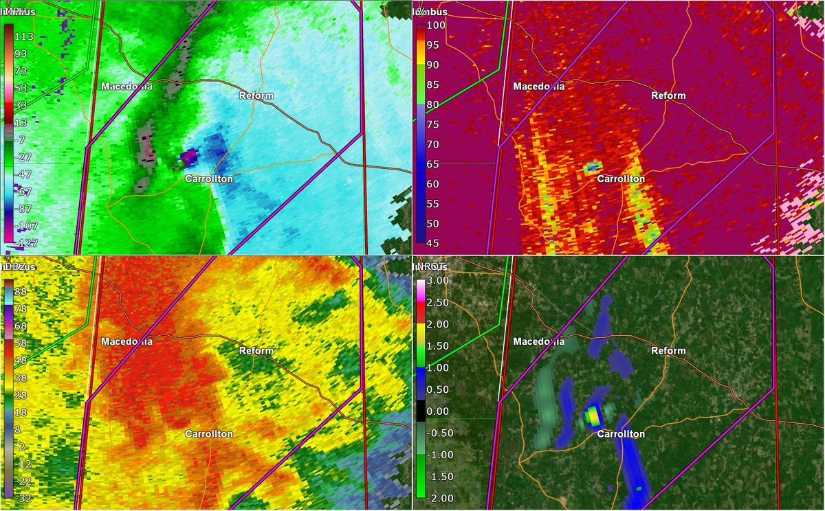
The first major tornado we caught on radar this year was this monster spin-up near Carrollton, AL that unfortunately took 3 lives. The tornado obliterated mobile homes at high-end EF2 intensity, but was likely in the EF3 range.
A shrimpercell formed in the open warm sector on February 5th, 2020. It had trouble sustaining long-lived tornadoes due to it's weak nature, but managed to spit out this amazing tree eater just north of Raleigh, MS.
Come to the next day, and tornadoes are continuing across Dixie Alley. This monster mile-wide wedge roared through a forest near Alabaster, downing hundreds of trees along a major, wide swath. Although rated EF2, it was likely higher in intensity based on the radar signature
The March 2020 campaign got off to a nighttime deadly start. The second of five significant (EF2+) tornadoes to come from the Nashville supercell, and the first of 3 to result in a fatality passed near Eva, TN just before midnight on March 2, 2020
The third of five significant (EF2+) tornadoes to come from the terrible Nashville supercell roared right through downtown Nashville, producing scattered areas of EF3 to high-end EF3 damage in the vicinity. Donelson and Mount Juliet were especially hard hit with HE-EF3 damage
After the Nashville tornado faded, another even worse, even wider, EVEN MORE POWERFUL wedge tornado touched down and moved into residential areas northwest of Cookeville, TN at about 1:50 AM. 19 people died as entire rows of homes were reduced to slab foundations.
Come to Texas on March 19th, 2020 and a very intense velocity couplet can be observed in the Mulberry Canyon area with an EF2 tornado. The ground was scoured, trees debarked despite being in rural areas, this tornado was likely EF3+
After several brief but strong touchdowns, this very intense tornado, with a gate to gate couplet of nearly 180 mph moved through a prison parking lot, tossing and mangling cars. Farm fields nearby showed evidence of minor scouring, this EF2 tornado barely missed disaster.
The first TORE of 2020 was brought by this supercell on March 24th, 2020, producing a large and strong wedge EF1 tornado that barely moved north of Tishomingo, producing very significant tree damage, significant enough to leave a visible scar on satellite imagery
Well, Illinois thankfully fell short, but that one SE surface wind barb in Arkansas enabled this supercell to dish out the most heart-wrenching tornado of the year. I watched this EF3 go right through town on Television, thank GOD it wasn't as strong as it appeared to be.
When the supercells finally reached the warm sector in Illinois, one strong tornado came out. @StormchaserGabe watched power flashes light up the funnel of this EF1 that barely missed a power plant.
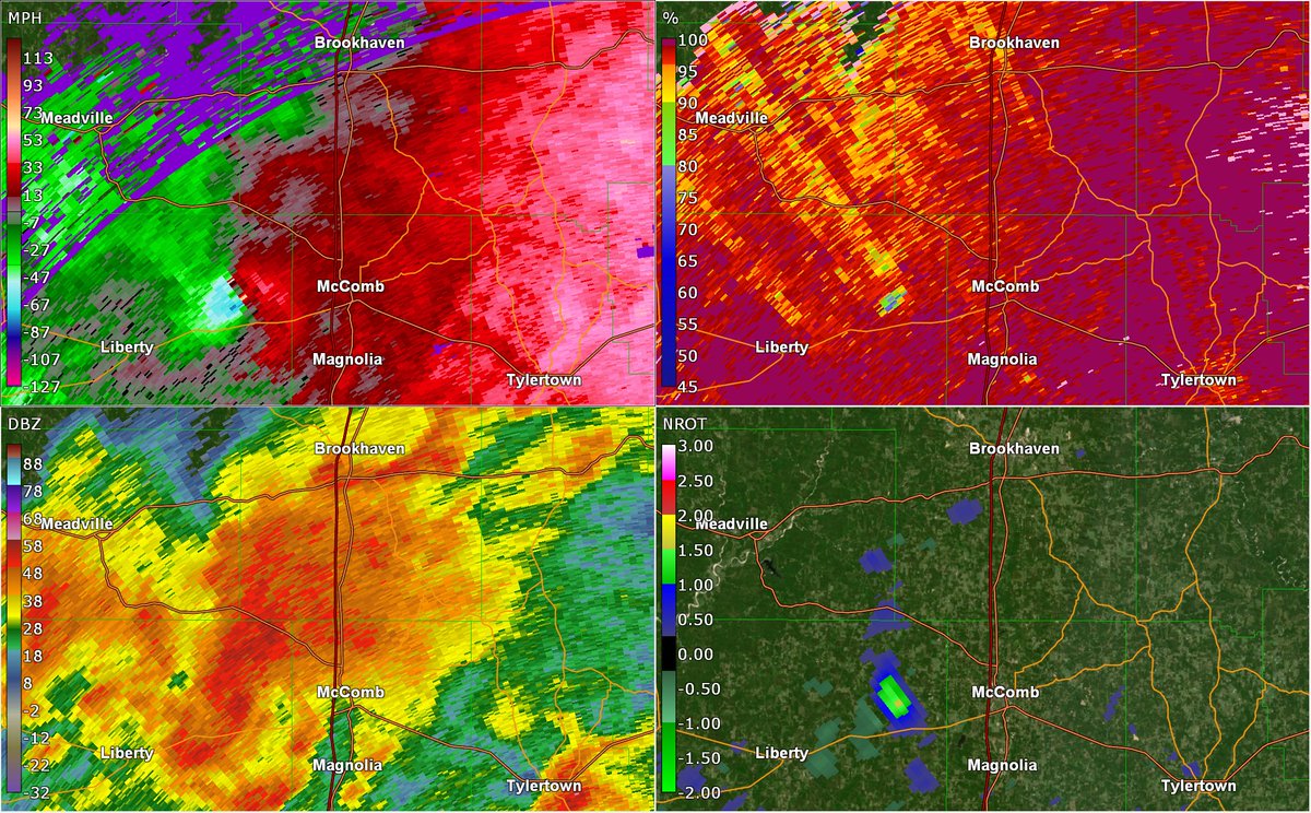
When you are playing the game of "find the tornado, Season 2020," always be sure to play that Dixie card! On a 5% tornado risk day, this tiny, miniscule embedded supercell spawned a large stovepipe EF2 that caused significant damage to homes in a subdivision near Eufaula, AL
April 8th, 2020, and the Jonesboro area is under the gun again. This time, it's from a nighttime cone that produced significant damage in a forest, obliterated a mobile home, before the conservation of angular momentum took effect as the tornado roped out in Harrisburg, AR
With this tornado, total hell began. This was the first funnel to fall from a supercell on the day we will always remember in tornado history, April 12th, 2020. This EF1 occurred in Texas.
People were still calling "BUST BUST BUST," I remember it correctly. My mother once said, it ain't over until the fat lady sings, and she hadn't even entered the music hall when this embedded supercell spawned this intense EF2 that obliterated mobile homes.
It's embedded supercell MADNESS time! These two EF3 twins terrorized the Monroe, LA area on April 12th, prompting the first TORE. Thankfully the damage reports weren't as bad as they originally sounded, and nobody was killed
DUN DUN DUN DUN DUN DUN DUN DUN DUN DUN DUN DUN DUN DUN DUN DUN DUN DUN DUN DUN *drum sounds DUN DUN DUN DUN DUN DUN DUN ALL HAIL THE MOST POWERFUL TORNADO OF 2020
OH GOD THAT TOWN GOT HIT OH NOW SOSO...

wait a second

IS THAT A SECOND VIOLENT TORNADO TRAILING BEHIND THE FIRST, OH NO
A supercell formed. It went into the open warm sector. Give a supercell the proper conditions, it will go NUTS
Poor Tuscaloosa never gets a break. This tree eating EF1 on Easter Sunday displayed a very intense velocity signature, yeah I'll keep that one in rural areas. Thank you.
A weak sub-severe thunderstorm did not appear organized enough for the NWS to issue a tornado warning on it yet, unfortunately, the truth was that a high-end EF2 was on the ground. It was the deadliest EF2/F2 tornado since February 12, 1950
An embedded supercell thunderstorm formed at the northern end of the squall line along the cold front, and it went absolutely NUTS, producing an EF3 wedge. Thank god the mesocyclone didn't maintain this intensity for a long time, or else stronger winds would have, uh, pls no
This very intense QLCS tornado produced EF3 damage in the Thomaston, GA area. Trees were mowed down, homes severely damaged. If this doesn't ring a bell, remember the tornado that lifted a home off of its foundation and dropped it nearly unharmed in the middle of the street?
This large but mostly weak QLCS tornado formed near Seneca after midnight, but an interaction with a hill resulted in violent vortices, scouring the ground, and leveling a home to touch the earth at high-end EF3 strength. Unfortunately, the winds took a life at a factory.
Four EF3 tornadoes on the ground at the same time, WHEN DOES THAT HAPPEN?
While EF3-fest was occurring to the north, an embedded supercell to the south got a very pronounced structure, clear inflow, and, uh, HELL. This violent EF4 monster roared through areas near Estill, taking 5 lives with it in the process.
The final intense tornado from the great 2020 Easter Tornado outbreak occurred right over Moncks Corner. One home lost its roof and nearly all of its second floor, warranting the EF3 rating. Several were injured, but thankfully nobody was killed.
Mississippi was nowhere near finished with clean up on April 19th, 2020, when terrible frontal orientation helped to tamper the severe weather threat on that day. HOWEVER, one supercell benefitted from the front's enhanced turning, and another EF4 ravaged southern Mississippi
On the next day, it was Florida's turn. Numerous intense supercells produced weak tornadoes over Florida, but as they moved offshore, 1 supercell really ramped up, and likely affected a ton of fish with a GNARLY waterspout
Let's take a trip down memory lane, when tornadoes actually occurred in Oklahoma and Kansas. This supercell, the second from the top of 4 supercells in a line hooked up to an outflow boundary, and dropped a violent, ground scouring wedge that thankfully moved through trees only
The supercell to the south of the Springer supercell then ramped up. It dropped a photogenic tornado, which Pecos Hank got LEGENDARY footage of as it struck Madill directly, unfortunately taking 3 lives in the process
South of the Oklahoma supercells on April 22, 2020, a third, completely discrete supercell formed north of Houston. It dropped this large and intense tornado which killed 2 as it destroyed and damaged many homes in the Onalaska, TX area
While hype expert and epic weenie (at the time) Oakhurst was screeching about the TORE for Jasper, the rotation actually passed aloft over town. However, that didn't last too long, as another long-tracked and intense tornado downed millions of trees in south Texas and Louisiana
The same supercell dropped two more EF2 tornadoes. The first one downed trees northeast of Elmer, LA at EF2 strength. The second one directly hit LSUA University (SW of Alexandria, LA), killing 1 in a mobile home.
In southern Mississippi (again), on April 23rd, these two strong tornadoes touched down, mowing down hundreds of trees. One of them passed very close to the track of the Bassfield, MS EF4, and was also over a mile wide.
May 2020 sucked. Let's get that right, right? Not one significant tornado (save for some low-end EF2 in South Carolina) occurred, EXCEPT for this extremely random EF3 which killed someone near Church Point, LA.
May 20th, 2020. May 20th is an infamous date in weather history, for many reasons. However this time, an HP supercell tracking up into the Charleston, SC area depicted a NASTY radar signature, dropping a brief but rather wide EF1 that snapped many trees.
You forgot about this day, did you? This is the day Matt Coker got that beautiful stovepipe near Bellevue, TX, and the day Matthew Cappucci intercepted an EF1 near Bowie, TX. This was on May 22nd, 2020.
A sea-induced boundary enabled a supercell over the Galveston, TX area to produce a very photogenic waterspout that was likely capable of significant damage. Thankfully, it remained completely offshore.
June 24, 2020. This strong EF1 tornado produced significant tree damage near Gulf Crest, AL. A video of the tornado revealed a rather narrow, cone-shaped vortex. Thankfully, the tornado did not appear to be as strong as radar suggested it may have.
No rain was initially forecasted, but mother nature turned the tables. This supercell wasted no time producing a likely significant, beautiful high-based true Kansas EF1 tornado, which scoured farm fields it tore through. The only good Plains tornado of 2020.
This large and very intense tornado leveled many trees in one of the most complex multiple-vortex damage paths I've ever seen. Thankfully, this EF2 remained completely in the Forest, and would have done serious damage had it been further north.
On July 8th, 2020, this supercell along the triple point spawned a high-based, incredibly beautiful, violent EF4 that scoured the ground, swept away a home so thoroughly little debris was found of it, mutilated trucks, debarked trees, and also produced INCREDIBLE FOOTAGE.
Still struggling to pronounce "Isaias" correctly, but thank GOD these waterspouts were offshore.
Unfortunately, not everything would remain offshore. One supercell spawned a very deadly, nighttime EF3 that absolutely annihilated and mutilated mobile homes in a trailer park south of Windsor, NC.
August 7th, 2020. Another high Plains supercell latched onto an outflow boundary, and produced one of the most photogenic tornadoes I've ever seen. This high-end EF3 (that was definitely violent) threw a car over a mile away, killing the young couple inside of it.
You CANNOT talk 2020 weather without mentioning the Great Derecho of 2020. No other derecho in recent times has eclipsed what this one did.
August 14th, 2020 spawned significant tornadoes in both hemispheres. Once again, several supercells resulted in significant tornadoes in Minnesota. In the southern hemisphere, a large, low-based wedge tornado struck Ciriaco, Brazil, in the heart of the Pasillo de los Tornados
The 2020 fire season also brought tornadoes of their own. The tornado on the left near me gained an EF2 rating. Nothing has been confirmed from the couplet on the right, but I'm sure @mn_storm is working on information from this tornado.
On September 17th, 2020, an isolated low-topped supercell spawned a likely strong tornado that impacted marshlands on private property, along the North Carolina coast
On November 30th, 2020, one supercell held together long enough in northern central Florida, dropping an intense tornado that snapped several trees very low to the ground in Madison County, avoiding sturdy structures.
December came, and nothing happened until December 16th. A supercell moving onshore spawned this strong tornado over Pinellas Park, FL, in the Tampa area, producing high-end EF2 damage to many businesses.
December 20th, another round of severe thunderstorms occurred, affecting areas identical to the first one. The main show was this cyclic supercell, which dropped two likely intense waterspouts before falling apart prior to landfall
On December 24th, more intense waterspouts terrorized fish near Morehead City, NC. Two supercells in particular displayed very impressive velocity signatures, although this one up close (top left) went absolutely NUTS
CONGRATS, YOU ARE AT THE END! 2020 SEVERE WEATHER SEASON IS, uh, no. Not over. Another surface low which will eject over Dixie Alley on the 31st will bring some severe weather (at minimum) with it. Will I have to add to this threat after 12/31?
*Thread, twitter needs an edit button
You can follow @Oakhurst_WX.
Tip: mention @twtextapp on a Twitter thread with the keyword “unroll” to get a link to it.

Latest Threads Unrolled:

By continuing to use the site, you are consenting to the use of cookies as explained in our Cookie Policy to improve your experience.